Imme's Lighthouse Keeper
Mâle reproducteur – George est notre tout premier mâle reproducteur au sein de l’élevage, importé de l’élevage IMME’S au Danemark. Il est issu d’une portée répétée de qualité exceptionnelle, avec des chiots en parfaite santé, ce qui constitue une excellente base et une grande valeur ajoutée pour notre lignée d’élevage. Son caractère joueur et intrépide est un véritable atout !
Le mâle reproducteur George vit dans une famille chaleureuse et dynamique, entouré d’enfants et de son ami chien Harry — un fils de Nora. Il vient régulièrement passer ses vacances chez nous.

Que du fun !!
Ce sont les mots qui décrivent le mieux George : pour lui, tout le monde est sympathique et tout est un grand jeu.
Un chien pas très amical dans les parages ? Aucun souci — avec ses mouvements de clown, il tente même celui-là d’inviter au jeu.
George est intrépide, s’adapte sans effort à n’importe quelle situation et entre partout comme s’il y était chez lui depuis toujours.
Les trajets en voiture figurent dans son top 3 d’activités préférées, tout comme se blottir contre vous pour une longue séance de câlins. Et une visite chez le vétérinaire ? WAW, quelle fête ! Tant d’attention — un vrai bonheur !

Carte d'identité
-
Nom sur pedigree: Imme's Lighthouse Keeper
-
Nom d'appel: George / Georgie
-
Date de naissance: 08-05-2024
- Passeport: DK726744
- Pedigree: DK06938/2024 imp LOSH 9206639
- Numéro de puce: 208262000044937
- Couleur: tricolor bleu merle avec feu
-
Sexe: mâle
- Statut de logement: vit en co-propriété dans une famille d’accueil
- Statut d'élevage: actif en reproduction pour des chiennes compatibles
-
Caractère: actif, joueur, amical, câlin. Il voit tout du bon côté ! Un caractère très agréable et intrépide. Une démarche très fluide et naturelle. Une construction athlétique.
-
Lien pedigree Cardiped: Cardigan Welsh Corgi - The Breed Archive

Santé
-
Tests de santé :
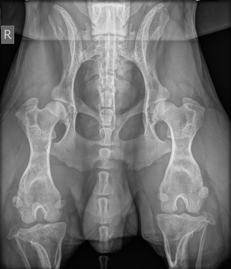
- Dysplasie de la hanche : OFA GOOD - FCI HD gauche B / droite C (sous anesthésie à l'université de Gand)
- Laxité des hanches : VMBDD gauche LI 0,30–0,49, droite LI 0,50–0,69
- Luxation de la rotule : ok
- Dysplasie du coude : FCI ED 0/0 (sous anesthésie)
- Vertèbres lombaires : pas de 8e vertèbre lombaire, aucune anomalie
- Examens oculaires : ECVO 28-09-2025 ok
- Atrophie progressive de la rétine : rcd3-APR indemne
- Myélopathie dégénérative (MD) : indemne
- Maladie de von Willebrand (vWD) : indemne
- Effondrement induit par l’effort (EIC) : indemne
- Immunodéficience combinée sévère liée à l’X (X-SCID) indemne- Coefficient de consanguinité via test ADN Embark : 15 % (faible)
- Coefficient de consanguinité basé sur l’analyse du pedigree sur 7 générations : 2,27 % -
Couleurs et longueur de poil :
E-locus : Em/E (pas de dilution du rouge en « pink »)
D-locus : D/D (pas de dilution du noir en bleu)
B-locus : B/b (porteur récessif du gène « liver » / brun)
A-locus : at/at (gène tricolore)
K-locus : ky/ky (pas de gène noir dominant, laissant au locus A toute liberté d’expression chez la femelle)
S-locus (MITF) : SS (non-porteur du gène pie/bont = excès de blanc)
M-locus : Mm (merle)
Ergot (LMBR1) : CC (absence d’ergots)
Longueur de poil (FGF5) : Sh/Sh (non-porteur du gène poil long « fluff »)
Transparance
Si vous avez des questions concernant les tests de santé ou certains documents de notre mâle reproducteur George, vous pouvez toujours me les demander.
Même après l’achat de votre chiot, je reste disponible pour toutes vos questions.
Dans l’intérêt de notre sélection d’élevage, je demande également à tous les acheteurs de chiots de me contacter dès que possible en cas de problèmes de santé éventuels.