Imme's Lighthouse Keeper
Dekreu George is onze allereerste dekreu binnen de kennel, geïmporteerd uit kennel IMME’S in Denemarken. Hij komt uit een herhalingsnest van uitzonderlijk goede kwaliteit en gezonde pups, wat meteen een prachtige basis vormde en een enorme meerwaarde is voor onze foklijn.Zijn speelse en onverschrokken karakter zijn echte troeven!
Dekreu George woont in een warm en speels gezin, omringd door kinderen én zijn hondenvriend Harry — een zoon van Nora. Hij komt regelmatig bij ons op vakantie.

Fun fun fun!!
Dat zijn de woorden die Dekreu George het best omschrijven: voor hem is iedereen leuk en is álles één groot spel.
Een niet-zo-vriendelijke hond in de buurt? Geen enkel probleem — met zijn clowneske moves probeert hij zelfs die te verleiden tot interactie.
Dekreu George is onverschrokken, past zich moeiteloos aan elke situatie aan en stapt overal binnen alsof hij er al jaren thuishoort.
Autorijden staat hoog in zijn top 3 favoriete activiteiten, net als zich tegen je aan vleien voor een uitgebreide knuffelsessie. En een dierenartsbezoek? WAAW, wat een pret! Zóveel aandacht — fantastisch!

Identiteitskaart
-
Stamboomnaam: Imme's Lighthouse Keeper
-
Roepnaam: George / Georgie
-
Geboortedatum: 08-05-2024
- Paspoort: DK726744
- Stamboomnummer: DK06938/2024
- Chipnummer: 208262000044937
- Kleur: tricolor bleu merle met tan
-
Geslacht: reu
- Woonstatus: woont in co-ownershap in een gastgezin
- Fokstatus: actief in de fok voor passende teven
-
Karakteromschrijving: actief, speels, vriendelijk, knuffelig. Ziet alles positief! Zeer aangenaam en onverschrokken karakter. Zeer vlot beweger en natuurlijk gangwerk. Athletisch gebouwd.
-
Stamboomlink Cardiped: Cardigan Welsh Corgi - The Breed Archive

Gezondheid
- Gezondheidstesten:
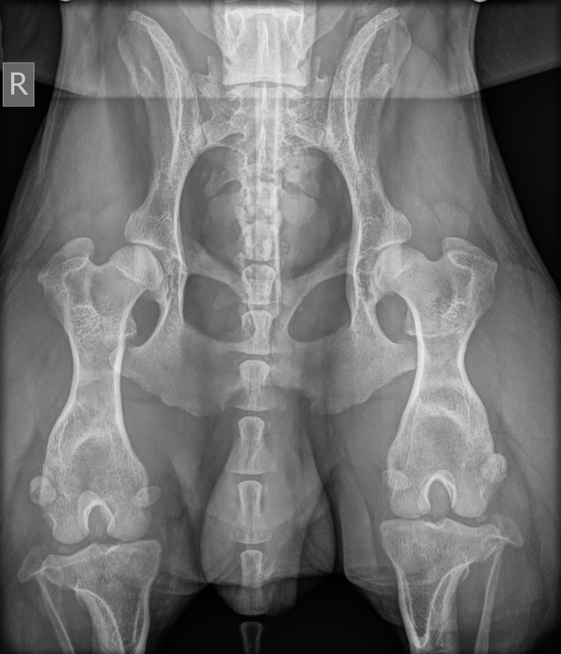
- heupdysplasie: FCI HD links B/rechts C (onder narcose aan de universiteit van Gent)
- heuplaxiteit: VMBDD links laag risico (LI 0,30 - 0,49), rechts hoger riscio (LI 0,50 - 0,69)
- patellaluxatie: ok
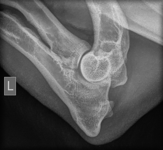
- elleboogdysplasie: FCI ED 0/0 (onder narcose)
- ruggenwervels: geen 8e lendenwervel, geen abnormaliteiten
- oogtesten: ECVO 28-9-2025 ok
- Progressive Retina Atrophie: rcd3-PRA vrij
- Degeneratieve Myelopathie: DM vrij
- Von Willebrand Disease: vWD vrij
- Energy Induced Collapse: EIC vrij
- X-linked Severe Combined Immunodeficiency: X-SCID vrij
- inteeltcoefficiëntie via DNA-test Embark 15% (= laag)
- Inteeltcoefficiëntie op basis van stamboomanalyse over 7 generaties: 2,27%
- Kleuren en haarlengte:
- E-locus: Em/E (geen verdunning van rood naar pink)
- D-locus: D/D (geen verdunning van zwart naar blauw)
- B-locus: B/b (recessief drager van leverkleur of bruin)
- A-locus: at / at (gen voor tricolor)
- K-locus: ky / ky (geen dominant zwart-gen, waardoor vrij spel voor A-gen bij de teef)
- S-locus (MITF): SS (geen drager van bont = te veel wit)
- M-locus: Mm (merle)
- Wolfsklauw (LMBR1) CC (geen wolfsklauw)
- Haarlengte (FGF5): Sh/Sh (geen drager van het langhaar-gen fluff)
Openheid
Indien u vragen heeft over de gezondheidstesten of bepaalde documenten van Dekreu George, kunt u deze steeds bij mij opvragen.
Ook na de aanschaf van uw pup blijf ik beschikbaar voor al uw vragen. In het belang van onze fokselectie vraag ik bovendien aan alle pupkopers om mij zo snel mogelijk te contacteren bij eventuele gezondheidsproblemen.